【 亀岡・千代川町 】明晴一丁目
※物件掲載内容と現況に相違がある場合は現況を優先と致します
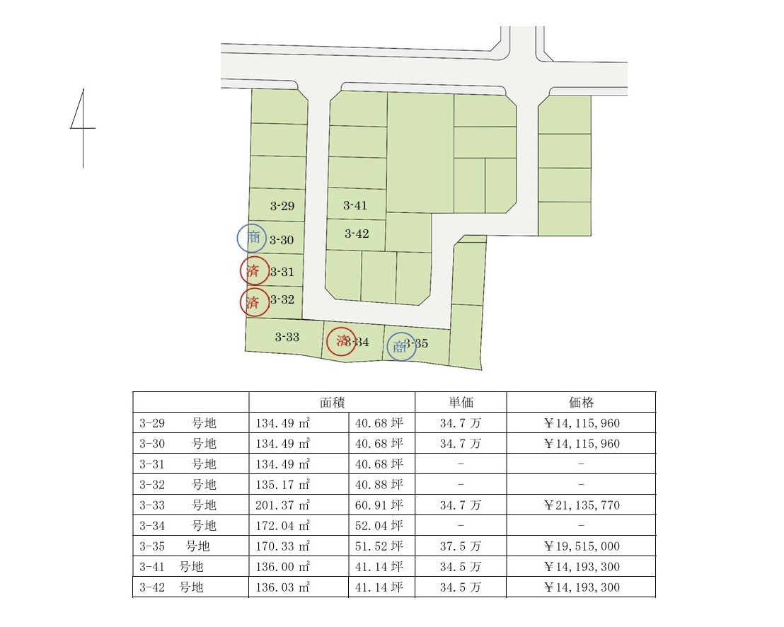
| 物件番号 | 03 | ||
|---|---|---|---|
| 所在地 | 亀岡市千代川町明晴1丁目 | ||
| 交通 | JR嵯峨野線 千代川駅 徒歩約12分 | ||
| 土地面積 | 134.49㎡~ | 地目 | 宅地 |
| 建ぺい率 | 60% | 用途地域 | 第一種住居地域 |
| 容積率 | 200% | 都市計画 | 第一種住居地域 |
| 土地面積計測方式 | 地勢 | 平坦 | |
| 総区画数 | 30区画 | 引渡/入居時期 | 相談 |
| 道路 | 取引態様 | 仲介(専属専任) | |
| 私道負担 | なし | 売主 | 株式会社アサヒ |
| 駐車場 | 仲介 | 株式会社朝日ホーム | |
| 電気/ガス/水道 | 電気:関西電力 / ガス:プロパンガス / 水道:亀岡市営 | ||
| 設備・条件 |
|
||
| 周辺環境 | フレッシュバザール千代川店 徒歩約2分 キリン堂千代川店 徒歩約4分 亀岡千代川郵便局 徒歩約4分 京都銀行千代川支店 徒歩約10分 | ||
おすすめポイント
平屋も叶う、40坪から60坪
スーパーまで徒歩1分、JR千代川駅まで徒歩11分。
生活利便と落ち着いた住環境がどちらも叶う立地です!
■毎日の買い物に便利なスーパーまで徒歩1分
■JR千代川駅まで徒歩12分
■敷地面積:40坪~60坪のゆとりのある区画
■駐車2台、お庭スペースも十分確保可能
■公園・学校が近く、子育て世代に安心の住環境
自然を感じながら利便性をしっかりと備えたこの町で、家族の理想の住まいを叶えませんか。
周辺施設情報
![]()
|
![]()
|
![]()
|
![]()
|
![]()
|
アクセス
CONTACT









